Gli Stati Uniti si preparano per l'uragano Florence. Massima è l'allerta
di Redazione
11/09/2018
Arriva l'uragano Florence e gli Stati Uniti si preparano ad affrontarlo. I meteorologi alzano l'asticella dell'allerta a quattro. Molti cittadini saranno costretti a lasciare le proprie abitazioni.
Venti forti e intense piogge su tutta la costa sud-est
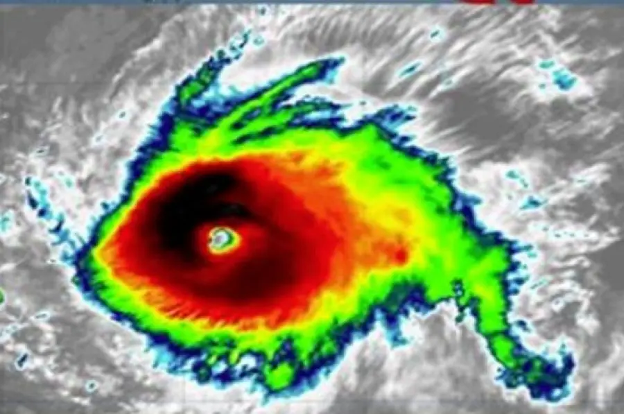
Le autorità statunitensi hanno emesso ordini di evacuazione dalle loro abitazioni per circa un milione di persone. L'uragano Florence è previsto tra la notte di martedì e mercoledì e il suo passaggio riguarderà il South Carolina, la Virginia e il North Carolina. Gli abitanti, che dovranno spostarsi dai centri abitati, avranno tempo fino alle 12 di oggi. l'uragano Florence è stato catalogato con potenza quattro e i venti che lo caratterizzeranno, a meno che non perda potenza durante il suo passaggio, possono arrivare addirittura ad una velocità massima di 220 chilometri orari. Il Centro Nazionale degli Uragani degli Stati Uniti hanno confermato che si tratta di un fenomeno molto pericoloso e che bisognerà aspettare, per abbassare il livello di pericolosità, fino a 36 ore. Tutte le scuole e gli uffici pubblici, che si trovano vicini ai punti cardine del passaggio dell'uragano Florence, verranno chiuse così come le autostrade nelle quali verranno lasciate libere solo le corsie di emergenze per eventuali manovre di soccorso.Trump raccomanda i cittadini di ascoltare le autorità
Il presidente degli Stati Uniti, Donald Trump, tramite dei tweet ufficiali, si è rivolto alla popolazione delle zone nell'occhio dell'uragano Florence al fine di eseguire correttamente tutte le indicazioni rilasciate dalle autorità competenti. Schierate anche una trentina di navi della marina militare statunitense, che saranno messe a disposizione per gli sfollati e chiunque ne avrà bisogno. I cittadini non hanno esitato a fare rifornimenti di alimenti e bevande, tanto che, in moltissimi supermercati della zona, le scorte sono velocemente terminate.Articolo Precedente
Diritto di copyright: cosa succederà davvero?
Articolo Successivo
Nuovi iPhone 2018: il più economico si chiamerà XC
Redazione